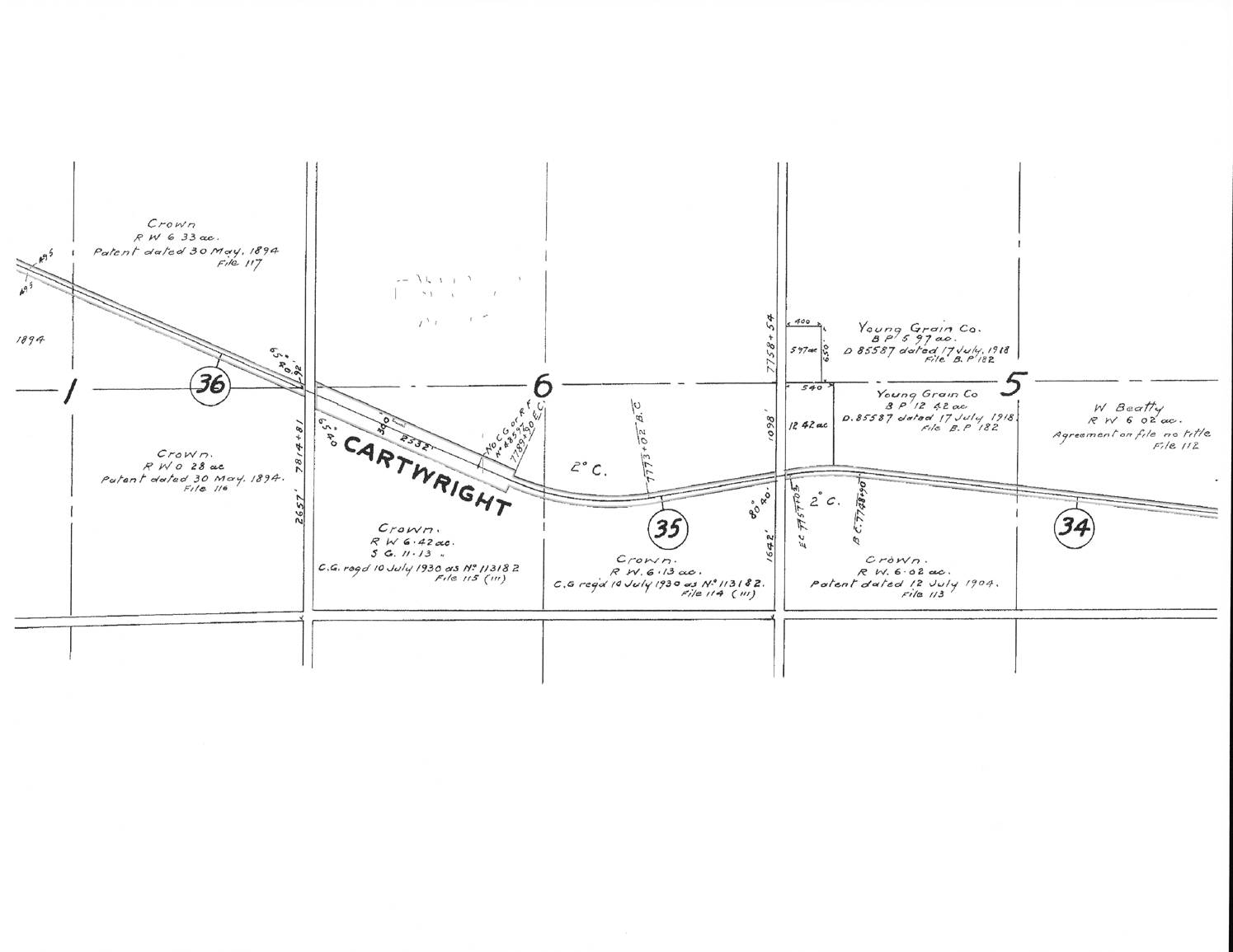
457 The Napinka Subdivision, Mile 0 to Mile 49 Leave a reply Mile 35, CPR/Napinka Sub. Miles 34, 35, and 36. Map of Cartwright showing dimensions of rail yard. Information – BTRC/CPR files. Click on map for detail. Rate this:Share this: Share on X (Opens in new window) X Share on Facebook (Opens in new window) Facebook More Email a link to a friend (Opens in new window) Email Share on LinkedIn (Opens in new window) LinkedIn Like Loading...