394 The Napinka Subdivision, Mile 0 to Mile 49.

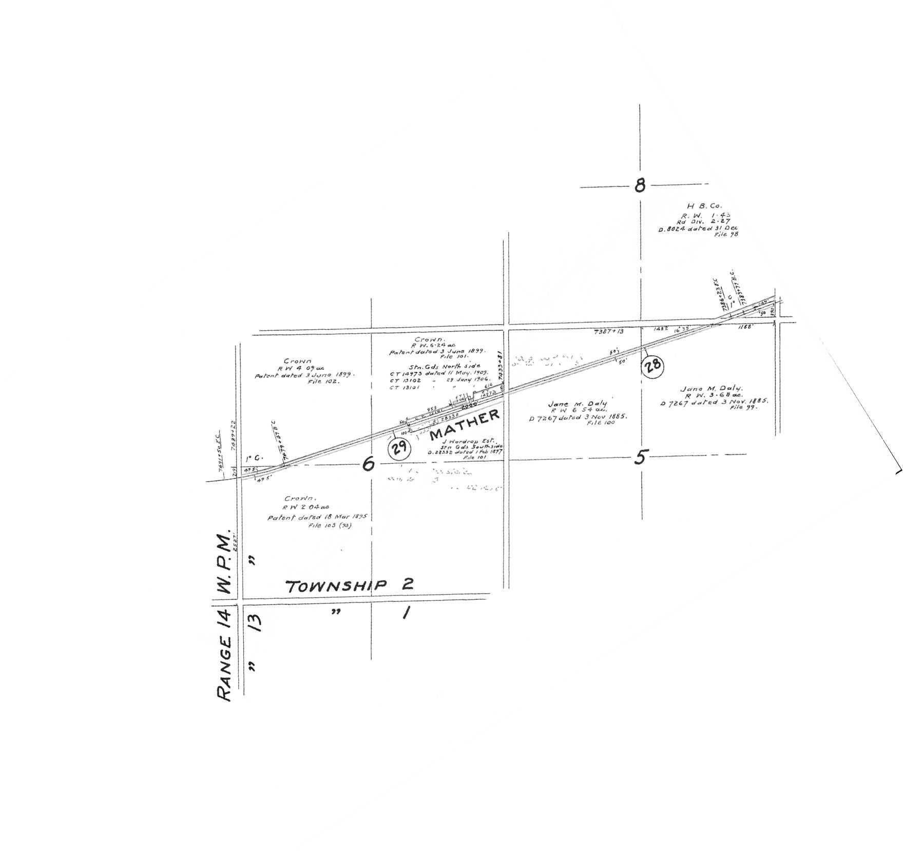
Picture3CPR mile 28, Mather yard. Map credit: (BTRC & CPR records). According to this map, Mather’s station grounds extended on the south side of the tracks as well as the north. (file 101, Feb 1, 1897). Subsequent stations were on the north side (January 29,1906 and May 11, 1909). The last station was relocated to Mather from Killarney in 1926. It was one of the few surviving “Type Four” stations in the 1970’s according to “Canadian Pacific’s Western Depots” (Bohi & Kozma, 1993)

Leave a comment