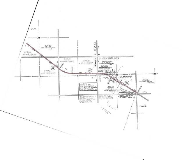
99 The La Riviere Subdivision Morden Mile 78 to Manitou Mile 100

Manitou MapBoundary Trail Railway Co. Ltd. (BTRC) – former CPR/La Riviere sub. Mile 100,101, 102, Manitou Yard. Manitou is presently the head office of the BTRC which was formed in 2008 as Manitoba’s first Producer owned short line. The BTRC retained the east 23 miles of track (from Binney to Morden), that was abandoned by CPR in 2006.  (Click on map for enlargement)  © Text and Photos exclusive copyright of N. Froese, Author.

Leave a comment