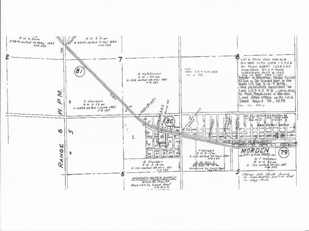
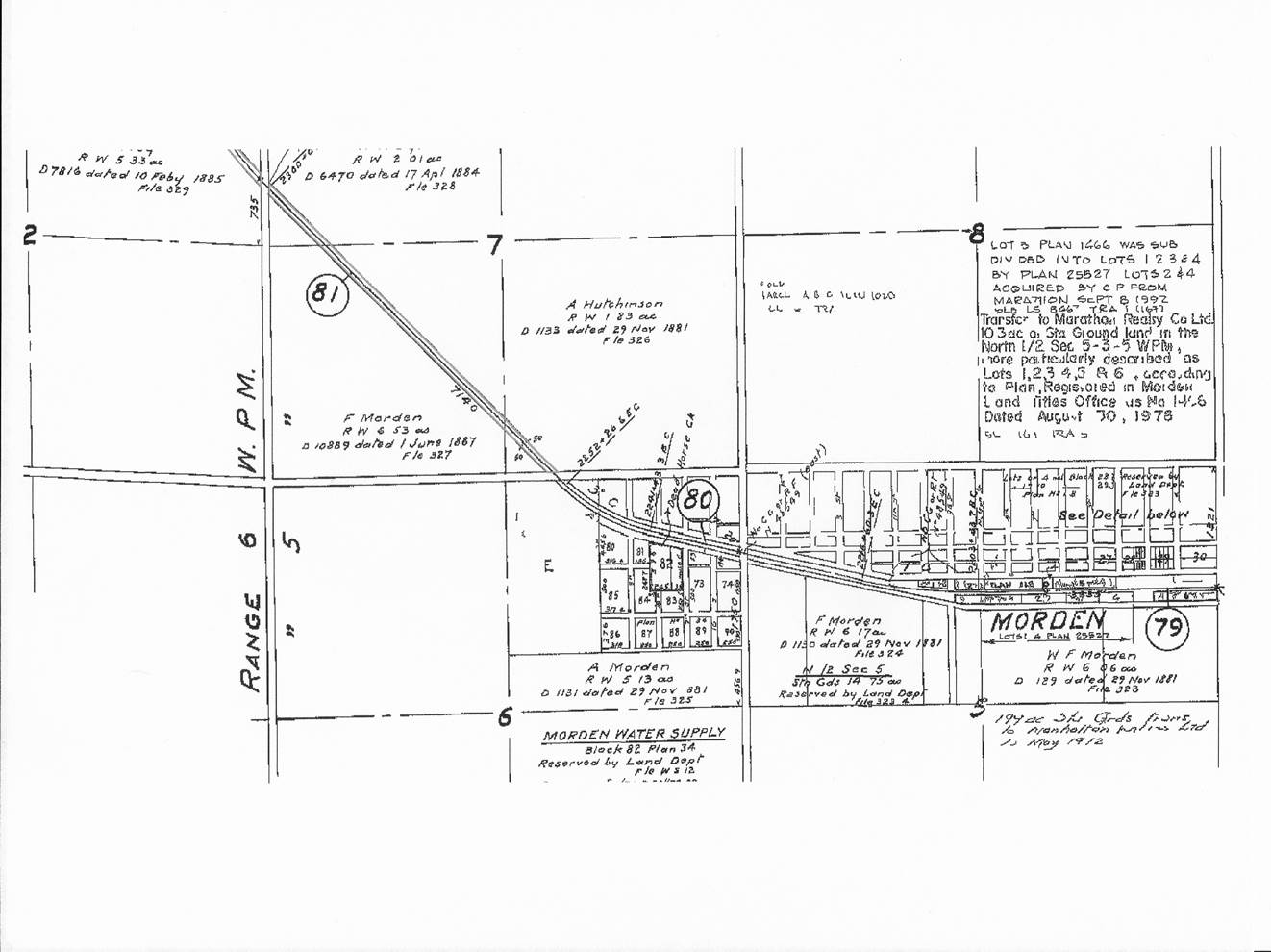
21 The La Riviere Subdivision Morden Mile 78 to Manitou Mile 100

Morden MapMap of Morden, MB, miles 79 to 81. The Boundary Trail Railway Co. has taken over the former C.P. line just south of where the track crosses Hwy. No. 3 at the W. end of Morden between miles 80 and 81. Information: BTRC files.  (Click on map for clearer image)

Leave a comment